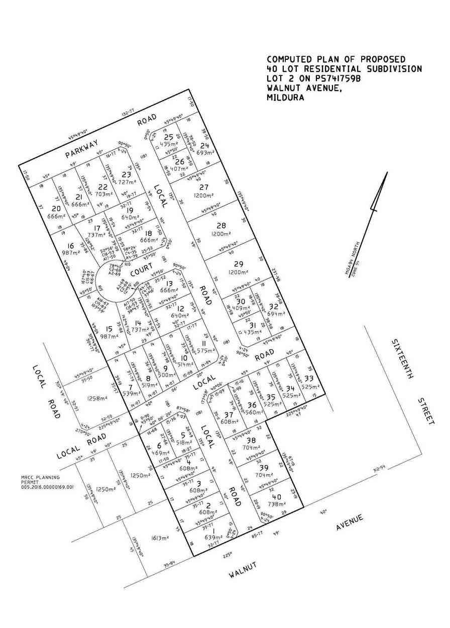
Blue Sky Heights Estate - Mildura
This information is estimated by the OpenLot research team. Let us know here to provide up-to-date information about this development.
| Total new homes | 40 |
| Area size | 3.73 hectares |
| City council | Mildura Rural City Council |
| Developer | N/A |
| Project marketer | Professionals Mildura |
Land for Sale, House and Land Packages:
Popular Estates near Blue Sky Heights Estate - Mildura
Updates for Blue Sky Heights Estate - Mildura
Location & Map for Blue Sky Heights Estate - Mildura
Land Price Trend in Mildura VIC 3500
- In Oct - Dec 24, the median price for vacant land in Mildura VIC 3500 was $185,000. *
- From Oct - Dec 17 to Oct - Dec 24, the median price for vacant land in Mildura VIC 3500 has increased 78.74%. *
- From 2008 to 2024, the median price for vacant land in Mildura VIC 3500 has increased 127.78%. *
Vacancy Rate in Mildura VIC 3500
View full vacancy rate history in Mildura VIC 3500 via SQM Research.
Schools near Blue Sky Heights Estate - Mildura
Here are 6 schools near Blue Sky Heights Estate - Mildura:
Prep-6 Government Primary School
Prep-10 Independent Combined School
Prep-6 Government Primary School
Prep-6 Government Primary School
U Government Special School
Prep-12 Government Secondary School - School Head Campus
Reviews & Comments on Blue Sky Heights Estate - Mildura
Estate Brochure, Masterplan, Engineering Plan, Plan of Subdivision (POS), Design Guidelines
FAQs about Blue Sky Heights Estate - Mildura
View all estates marketed by Professionals Mildura
- Mildura South Primary School - 895m east
- Trinity Lutheran College - 1.6km north-east
- The Lake Primary School - 2.3km west
- Ranfurly Primary School - 2.6km north-east
- Mildura Specialist School - 2.8km north-east
- Mildura Senior College - 3.0km north-east
Popular Estates near Blue Sky Heights Estate - Mildura
Latest New Home Articles for You
19/Aug/2025 | OpenLot.com.au
🏡 Suburb Profile: Beveridge
Beveridge is within the Mitchell Shire, located 42 kilometres north of Me...
19/Aug/2025 | OpenLot.com.au
test2
19/Aug/2025 | OpenLot.com.au
tests
13/Jun/2025 | OpenLot.com.au
Display Homes at Playford Alive Estate: A Thriving Community at the Heart of Munno Para
Welcome to Playford Alive, a vibrant and dynamic masterplanned community ...
11/Jun/2025 | OpenLot.com.au
Display Homes at Ocean Hill Estate: A Thriving Community by the Coast
A short stroll from the white sands of Madora Beach and fringed by the co...
10/Jun/2025 | OpenLot.com.au
Display Homes at Bluestone Estate: An Established Community in the Mount Barker
Whether you’re a first home buyer, a growing family, or looking to downsi...
09/Jun/2025 | OpenLot.com.au
Queensland Leads, But NSW and VIC Fall Behind, in New Housing Buyer Demand Index
New data reveals that Australia’s new housing market remains resilient de...
06/Jun/2025 | OpenLot.com.au
Display Homes at Minters Fields Estate: A Scenic Hillside Community in Mount Barker
Nestled in the heart of Mount Barker, Minters Fields offers a truly remar...
03/Jun/2025 | OpenLot.com.au
🏡 Step Inside a Frenken Home at Smiths Lane
During a recent visit to the Smiths Lane display village, OpenLot.com.au ...