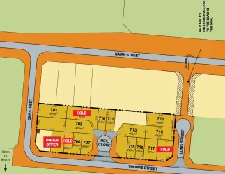
Heil Close, Leeman WA 6514
- Hugging the Western Australian coastline approximately 266km north of Perth, Leeman is home to excellent fishing, swimming and diving spots.The recently opened Indian Ocean Drive has created a faster link between Perth and Leeman and is helping to increase the popularity of the area.
- We have a number of prime oceanside lots available with amazing views, perfectly placed in the north-west corner of the town, close to the local school, parks and shops, perfect for your new dream house.
This information is estimated by the OpenLot research team. Let us know here to provide up-to-date information about this development.
| Total new homes | 11 |
| Area size | N/A |
| City council | Shire of Coorow |
| Developer | DevelopmentWA |
| Project marketer | Elders Real Estate WA Rural & Metro (Elders Midland) |
Land for Sale, House and Land Packages:
Popular Estates near Heil Close, Leeman
Updates for Heil Close, Leeman
Location & Map for Heil Close, Leeman
Schools near Heil Close, Leeman
Here are 6 schools near Heil Close, Leeman:
K-6 Government Primary School
K-6 Government Primary School
K-12 Government Combined School
K-6 Government Primary School
K-6 Government Primary School
K-12 Government Combined School
Reviews & Comments on Heil Close, Leeman
Estate Brochure, Masterplan, Engineering Plan, Plan of Subdivision (POS), Design Guidelines
FAQs about Heil Close, Leeman
View all estates from DevelopmentWA
View all estates marketed by Elders Real Estate WA Rural & Metro (Elders Midland)
- Leeman Primary School - 830m south
- Eneabba Primary School - 30.9km north-east
- Jurien Bay District High School - 41.1km south
- Cervantes Primary School - 62.7km south
- Badgingarra Primary School - 75.2km south-east
- Dongara District High School - 77.0km north
Popular Estates near Heil Close, Leeman
Latest New Home Articles for You
19/Aug/2025 | OpenLot.com.au
🏡 Suburb Profile: Beveridge
Beveridge is within the Mitchell Shire, located 42 kilometres north of Me...
19/Aug/2025 | OpenLot.com.au
test2
19/Aug/2025 | OpenLot.com.au
tests
13/Jun/2025 | OpenLot.com.au
Display Homes at Playford Alive Estate: A Thriving Community at the Heart of Munno Para
Welcome to Playford Alive, a vibrant and dynamic masterplanned community ...
11/Jun/2025 | OpenLot.com.au
Display Homes at Ocean Hill Estate: A Thriving Community by the Coast
A short stroll from the white sands of Madora Beach and fringed by the co...
10/Jun/2025 | OpenLot.com.au
Display Homes at Bluestone Estate: An Established Community in the Mount Barker
Whether you’re a first home buyer, a growing family, or looking to downsi...
09/Jun/2025 | OpenLot.com.au
Queensland Leads, But NSW and VIC Fall Behind, in New Housing Buyer Demand Index
New data reveals that Australia’s new housing market remains resilient de...
06/Jun/2025 | OpenLot.com.au
Display Homes at Minters Fields Estate: A Scenic Hillside Community in Mount Barker
Nestled in the heart of Mount Barker, Minters Fields offers a truly remar...
03/Jun/2025 | OpenLot.com.au
🏡 Step Inside a Frenken Home at Smiths Lane
During a recent visit to the Smiths Lane display village, OpenLot.com.au ...